Property Details of

2803 51 AV NW

$998,000.00

$998,000.00
Property Sub Type Vacant Land
Lot Size Area 39639.6
LotSize Dimensions 39639.6
LotSize Units square feet
Internet Entire Listing Display 1
Standard Status Active
State Or Province Alberta
Country Canada
City Edmonton
City Region Southeast Industrial (Edmonton)
Postal Code T6P1J7
Unparsed Address 2803 51 AV NW

More Info

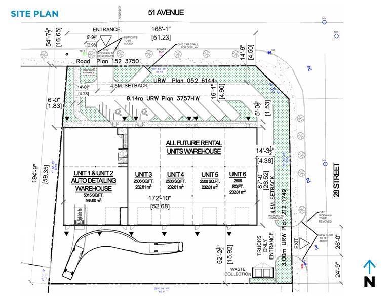
Strategically positioned within the established industrial zone of southeast edmonton, this premium corner land parcel offers exceptional access to the region’s primary truck route network—ensuring seamless transportation for heavy-load vehicles and goods. located on the highly visible and well-traveled 51 avenue, this site boasts a desirable southwest orientation, surrounded by a thriving and efficient industrial environment. the lot is fully serviced to municipal standards, offering developers a streamlined path to construction. a development permit is already secured for a modern 6-unit industrial building, featuring 15,036 sq. ft. on the main floor and an additional 6,050 sq. ft. on the second floor, providing a total of over 21,000 sq. ft. of functional space. this is a rare opportunity to acquire a shovel-ready industrial development site in a high-demand location—ideal for businesses looking to expand or investors seeking a turn-key project in a strong economic corridor. (id:62933)

Location

Gallery